Beschrijving
Een verborgen juweel aan het Utrechtse Veer!
Aan de schilderachtige Nieuwe Rijn op het kruispunt met de Herengracht ligt deze royale benedenwoning met achterhuis – een karakteristiek gemeentelijk monument met originele details. De sfeervolle kamer-en-suite, maar liefst vijf (slaap)kamers en de groene stadstuin maken dit tot een uitzonderlijk ruime en veelzijdige woning met volop potentie.
De ligging is al net zo aantrekkelijk: op slechts enkele minuten lopen bevindt zich de levendige Leidse binnenstad met haar supermarkten, speciaalzaken, de Breestraat en Haarlemmerstraat, restaurants, de markt én het Singelpark. Ook Station Lammenschans, Leiden Centraal, het LUMC en het Bio Science Park zijn snel bereikbaar per fiets.
Na vele jaren met plezier te hebben gewoond, draagt de huidige bewoner dit bijzondere thuis nu met liefde over aan een nieuwe generatie – klaar om de volgende hoofdstukken toe te voegen aan het verhaal van deze elegante benedenwoning.
Indeling
Bij binnenkomst betreedt u eerst de ruime vestibule. Via een prachtige tochtdeur met rijk geëtst Jugendstil-glas loopt u door naar de lange gang met marmeren vloer. Aan weerszijden van de gang bevinden zich diverse vertrekken en aan het einde geeft een deur toegang tot de groene stadstuin.
Aan de linkerzijde van de gang zit de fraaie woonkamer en suite met de originele schuifdeuren met geslepen glas. De voorkamer met open haard heeft een magnifiek uitzicht over de Nieuwe Rijn en de achterkamer, met gashaard, beschikt over een ruime inlooptrapkast en openslaande deuren naar de tuin. Vanuit deze ruimte kijkt u uit over het groen en ervaart u volledige rust, midden in de stad. De hoge plafonds versterken het statige karakter dat zo kenmerkend is voor deze woning.
Aan de rechterzijde van de gang zit aan de voorzijde een ruime kamer ook weer met schouw en praktische inlooptrapkast. Deze multifunctionele ruimte leent zich uitstekend als kantoor, slaapkamer, televisiekamer of hobbykamer. Verder is er aan deze rechterzijde een deur naar de kelder (die onlangs waterdicht is gemaakt, tien jaar garantie).
Aansluitend ligt een comfortabele slaapkamer met eigen wastafel en openslaande deuren naar de tuin – een heerlijke plek om ’s ochtends direct in het groen te stappen. Via een marmeren gang, gesitueerd tussen de woonkamer en deze slaapkamer, bereikt u zowel het toilet als de keuken.
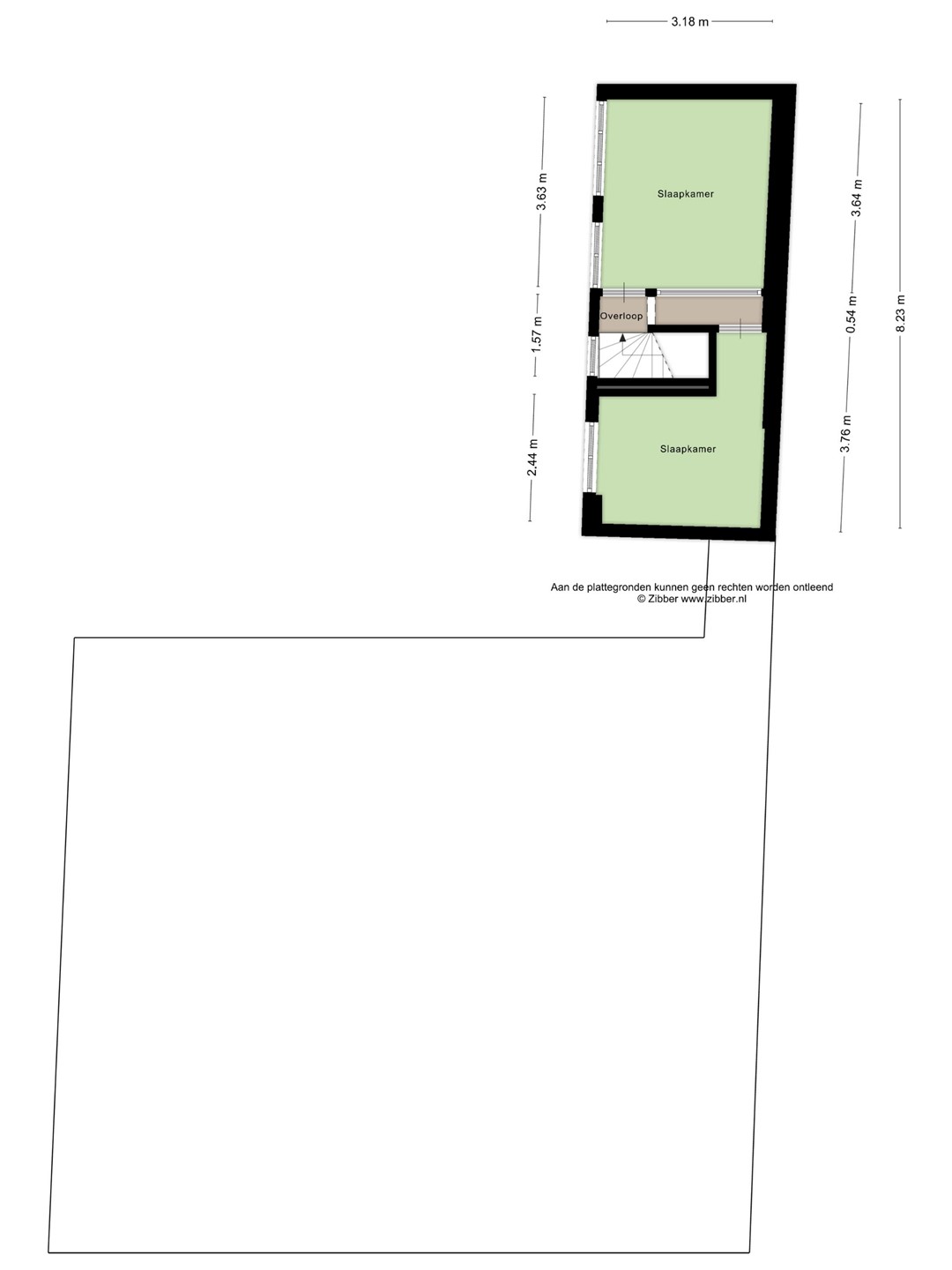
Vanuit de keuken komt u in een tweede gang met opnieuw een deur naar de tuin. Hier bevinden zich links de badkamer, uitgerust met toilet, wastafelmeubel, douche en vloerverwarming, en rechtdoor een extra slaapkamer. Tussen de badkamer en deze slaapkamer leidt een trap naar de verdieping van het achterhuis, waar zich nog twee slaapkamers bevinden.
Tuin
De royale stadstuin van circa 100 m² strekt zich uit over de volledige breedte van de woning en ligt gunstig op het zuiden. Deze groene oase, verscholen in het hart van de Leidse binnenstad, biedt een uitzonderlijke combinatie van rust, privacy en ruimte. De tuin beschikt over een groot, betegeld terras met meerdere zitmogelijkheden en is rijk voorzien van beplanting. Daarnaast is er een praktische berging aanwezig voor het opbergen van tuinspullen en gereedschap.
Bijzonderheden
- Gebruiksoppervlakte wonen 183 m2
- Overige inpandige ruimte 20 m2
- Gebouw gebonden buitenruimte 0 m2
- Externe bergruimte 0 m2
- Gemeentelijk monument
- VvE-kosten € 147,08 per maand
- Fantastisch uitzicht over de Nieuwe Rijn
- Gelegen op enkele minuten lopen van de levendige Leidse binnenstad
- Diverse authentieke details (o.a. paneeldeuren, schouwen, en suite)
- Heerlijke stadstuin gelegen op het zuiden
- Kelder is recentelijk waterdicht gemaakt door Den Heijer Vochtwering (tien jaar garantie)
- Oplevering in overleg
Koopakte
- ouderdoms- en materiaalclausule is van toepassing
- asbestclausule is van toepassing
- niet-zelfbewoningsclausule